Flyforest Drone - mezőgazdasági drónozás
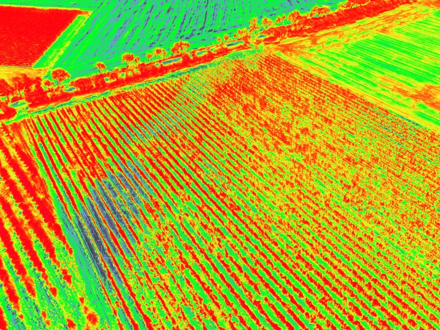
Növényállapot / stresszállapot felmérés
Gyomosodás, fertőzöttség felmérés
Tápanyag, permetigény kimutatása
Tőszámlálás, hozambecslés
Vadkár felmérés
Növényállapot / stresszállapot felmérés
Gyomosodás, fertőzöttség felmérés
Tápanyag, permetigény kimutatása
Tőszámlálás, hozambecslés
Vadkár felmérés